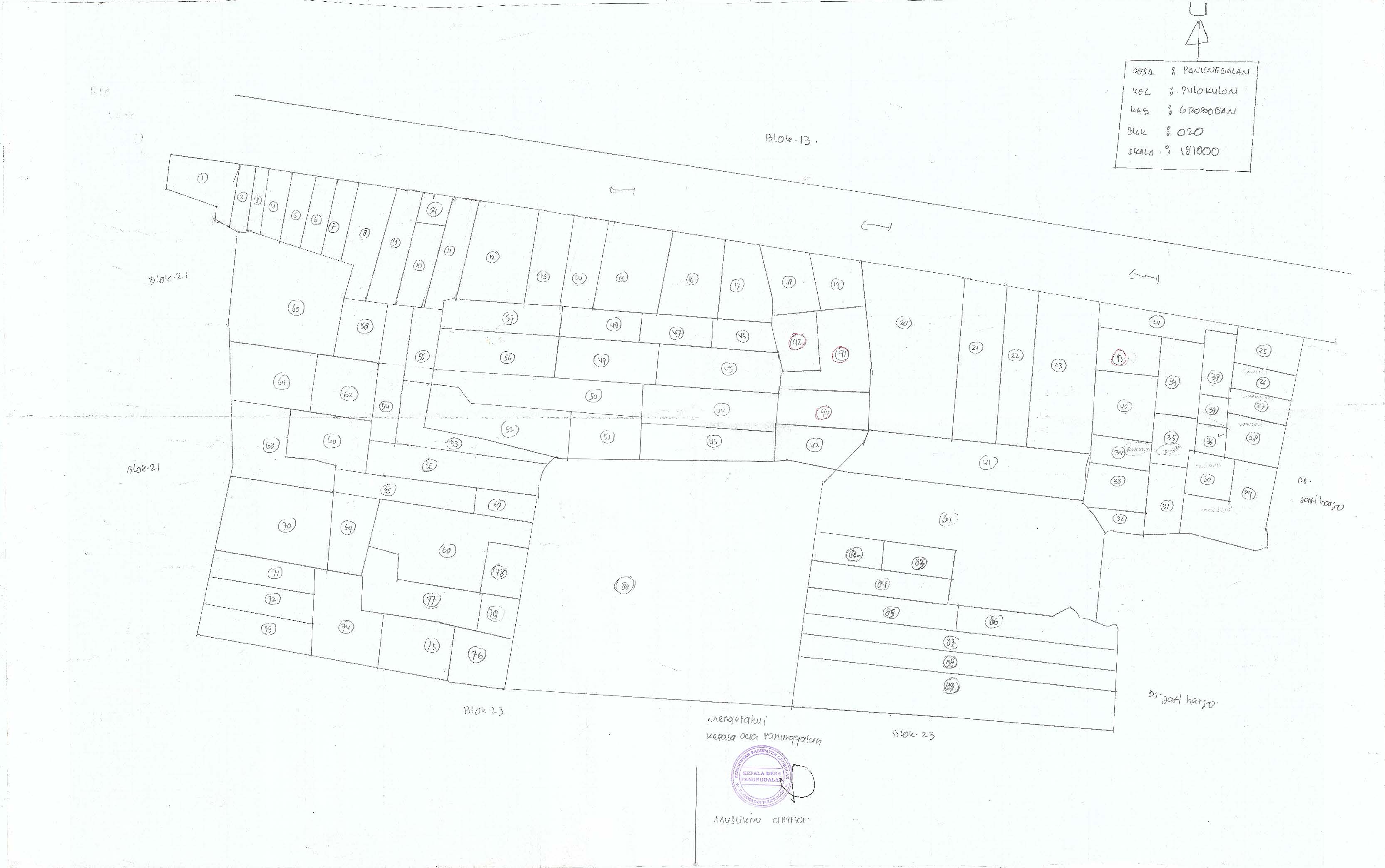
Detail Blok: 20

Gambar Blok

Gambar Blok 20
100%

Gunakan tombol zoom atau scroll mouse untuk memperbesar/memperkecil gambar. Drag untuk memindahkan posisi.



Wajib Pajak

Ketik NOP atau Nama untuk mencari Wajib Pajak

Total: 75 Wajib Pajak
1

MASIRUN

NOP: 20.0086

Lunas place-marker--v1
2

SUWARTO-SUYADI

NOP: 20.0027

Terhutang place-marker--v1
3

RAKINEM

NOP: 20.0034

Terhutang place-marker--v1
4

SAMIN

NOP: 20.0048

Lunas place-marker--v1
5

NGADENAN

NOP: 20.0037

Lunas place-marker--v1
6

SURADI BN WAGI

NOP: 20.0036

Lunas place-marker--v1
7

SURADA

NOP: 20.0030

Terhutang place-marker--v1
8

SAMSURI

NOP: 20.0060

Lunas place-marker--v1
9

SAMSURI

NOP: 20.0072

Lunas place-marker--v1
10

PAIMAN

NOP: 20.0035

Terhutang place-marker--v1
11

ISNADI

NOP: 20.0079

Lunas place-marker--v1
12

REBO

NOP: 20.0049

Lunas place-marker--v1
13

WARSIDI

NOP: 20.0058

Lunas place-marker--v1
14

SUPARDI

NOP: 20.0073

Lunas place-marker--v1
15

SUPARDI-RUKMINI

NOP: 20.0046

Lunas place-marker--v1
16

AHMAD SUKIBUL MINAN BN KOIRI

NOP: 20.0074

Lunas place-marker--v1
17

KHAIRI

NOP: 20.0070

Lunas place-marker--v1
18

MURNIYATI-PARYADI

NOP: 20.0013

Lunas place-marker--v1
19

H WALUYO

NOP: 20.0010

Lunas place-marker--v1
20

SUMIYATUN

NOP: 20.0069

Lunas place-marker--v1
21

SUHARTI

NOP: 20.0085

Lunas place-marker--v1
22

RAMELAN

NOP: 20.0009

Lunas place-marker--v1
23

NURDIN

NOP: 20.0075

Lunas place-marker--v1
24

SUMARDI

NOP: 20.0005

Lunas place-marker--v1
25

DARYADI/DJASMI

NOP: 20.0059

Lunas place-marker--v1
26

DARYADI/DJASMI

NOP: 20.0063

Lunas place-marker--v1
27

KARDIMIN

NOP: 20.0054

Lunas place-marker--v1
28

NGADIYEM

NOP: 20.0003

Terhutang place-marker--v1
29

KASMURI

NOP: 20.0066

Lunas place-marker--v1
30

SUGENG ROHMAH

NOP: 20.0045

Lunas place-marker--v1
31

SUGENG-ROHMAH

NOP: 20.0057

Lunas place-marker--v1
32

GINO

NOP: 20.0001

Lunas place-marker--v1
33

SARMAN

NOP: 20.0052

Lunas place-marker--v1
34

SARMIN

NOP: 20.0053

Lunas place-marker--v1
35

SUDARNI

NOP: 20.0002

Lunas place-marker--v1
36

SALIMIN

NOP: 20.0008

Lunas place-marker--v1
37

SAID

NOP: 20.0044

Lunas place-marker--v1
38

PUTIKATIN NIKMAH

NOP: 20.0095

Lunas place-marker--v1
39

SARMIN

NOP: 20.0071

Lunas place-marker--v1
40

SITI NUR KHAYATI

NOP: 20.0068

Lunas place-marker--v1
41

ABDUL KARIM

NOP: 20.0007

Lunas place-marker--v1
42

RISATUL MUAWANAH BT ALI ANWAR

NOP: 20.0078

Lunas place-marker--v1
43

TAMSIR

NOP: 20.0065

Lunas place-marker--v1
44

SUPRIYONO

NOP: 20.0006

Lunas place-marker--v1
45

SUPRIYONO

NOP: 20.0012

Lunas place-marker--v1
46

SUPRIYONO

NOP: 20.0015

Lunas place-marker--v1
47

SUPRIYONO

NOP: 20.0016

Lunas place-marker--v1
48

SUPRIYONO

NOP: 20.0047

Lunas place-marker--v1
49

SUPRIYONO

NOP: 20.0056

Lunas place-marker--v1
50

ASRORI BN H WARDI

NOP: 20.0084

Lunas place-marker--v1
51

ISMU BANDIYAH

NOP: 20.0011

Terhutang place-marker--v1
52

KAMAL

NOP: 20.0040

Lunas place-marker--v1
53

INTAKI WARDI

NOP: 20.0017

Lunas place-marker--v1
54

ALI MAHMUDI BN WARDI

NOP: 20.0091

Lunas place-marker--v1
55

ISTIQOMAH BT WARDI

NOP: 20.0092

Lunas place-marker--v1
56

CUSENO BN SUYADI => KARNO 2/3

NOP: 20.0031

Terhutang place-marker--v1
57

RIYADI BN RADIMAN

NOP: 20.0032

Lunas place-marker--v1
58

PARIMIN

NOP: 20.0043

Lunas place-marker--v1
59

H PARMIN

NOP: 20.0082

Lunas place-marker--v1
60

BAEDOWI

NOP: 20.0055

Terhutang place-marker--v1
61

H JUMALI

NOP: 20.0064

Lunas place-marker--v1
62

H JUMALI

NOP: 20.0083

Lunas place-marker--v1
63

MUNAWAR

NOP: 20.0050

Lunas place-marker--v1
64

KUSNADI

NOP: 20.0051

Terhutang place-marker--v1
65

ALI MURSIDI

NOP: 20.0033

Lunas place-marker--v1
66

ROHMAD-KUSNI

NOP: 20.0019

Lunas place-marker--v1
67

SARMIDI BN KASDI

NOP: 20.0067

Lunas place-marker--v1
68

SOLIKIN-KUSNI

NOP: 20.0018

Lunas place-marker--v1
69

MUNTOHA

NOP: 20.0062

Lunas place-marker--v1
70

SAEFUL

NOP: 20.0061

Lunas place-marker--v1
71

FADLOLI

NOP: 20.0076

Lunas place-marker--v1
72

HABIB

NOP: 20.0077

Lunas place-marker--v1
73

ROMSI

NOP: 20.0024

Lunas place-marker--v1
74

SUWARTI-SOALI

NOP: 20.0004

Lunas place-marker--v1
75

MUHAMAD BAGUS RIZKINOVAL

NOP: 20.0096

Terhutang place-marker--v1

Ringkasan Data

Kode Blok

20

Total Wajib Pajak

75 Orang

Terakhir Update

17/11/2025